犬 背中 かさぶた 白い 316090-犬 背中 かさぶた 白い
犬のかさぶたができる原因 病気とは 病院に連れて行くべき症状を獣医が解説 ペット保険の Ps保険 少額短期保険ペットメディカルサポート株式会社
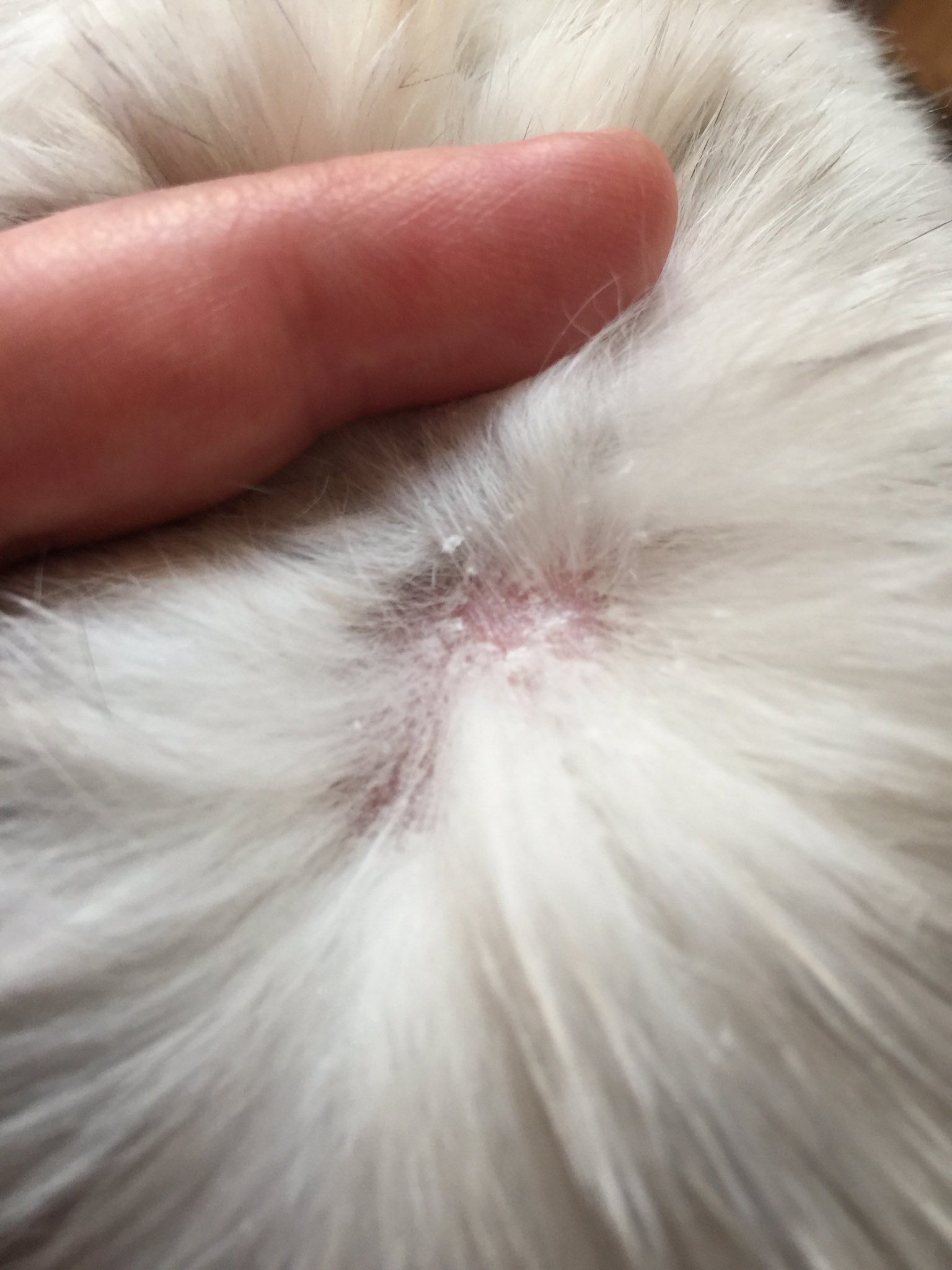
背中のかさぶた 質問カテゴリ: 皮膚の異常 対象ペット: 犬 / ミニチュアダックスフンド (ロング) / 男の子 / 11歳 1ヵ月 質問者: 静岡県 / みずさん 2226 白い毛の奥にうっすらとかさぶた の 犬の背中にイボ?かさぶた?のようなしこりができてる!獣医さんに診てもらってきた。 湿疹?くしゃみ?犬
犬 背中 かさぶた 白い
犬 背中 かさぶた 白い- 当院では一般診療のほか、犬猫の皮膚病治療に力を入れています。 今回は 犬の皮膚にかさぶたができる皮膚病 についてわかりやすく解説していきますので、ぜひ最後までご覧ください! 目次 1.かさぶたってどんなもの? 2.かさぶたができる 1cm以下のイボのような白いできものの原因は 「パピローマ」 というウイルスによるものが多く、犬の免疫力が落ちていると突然できることが多いようです。 この白いできものはほとんど良性のもので、ある日ポロっと自然に取れることもあります。 ただ
皮膚科 皮膚病の治療 あだち動物病院
犬のかさぶたの原因とは 皮膚炎で考えられる病気を獣医師が解説 ペトコト 犬の皮膚に白い塊 があります 犬の背中を撫でていると カサブタの Yahoo 知恵袋 犬の膿皮症 愛知県知立市 刈谷市のなんよう動物病院 犬の皮膚病がすべてわかる 犬の皮膚病の症状と 犬のできもの①赤いできも犬のツメダニ症 ツメダニ症は、イヌツメダニという寄生虫の感染によって発症し、多量のかさぶたのようなフケや赤い発疹などが見られます。 ツメダニは人にも一過性に感染することがあります。 主な症状 皮膚に発疹(ブツブツ)ができる / 毛づやが 膿皮症 犬の皮膚病の中で最も多いとされており、次のような症状があります。 小さな赤い発疹 黄色いかさぶた フケや抜毛 皮膚から膿が出る かゆみ 膿皮症はさらに次の種類があります。 表層性細菌性毛包炎
犬って全身に毛が覆われていて肌が見えにくいですよね。 なにげにふと体を撫ででいると「ガサっ」とした感触が・・・ よく見てみると黒いかさぶたができている。 散歩中に怪我でもしたのかな~と気にしていなかったのに、 違うところにも黒いかさぶたが・・・。犬のツメダニ症 ツメダニ症は、イヌツメダニという寄生虫の感染によって発症し、多量のかさぶたのようなフケや赤い発疹などが見られます。 ツメダニは人にも一過性に感染することがあります。 主な症状 毛づやが悪い / フケが多い / 皮膚に発疹 犬のアカラスの検査や治療法とは?再発や完治の可能性は? その他、犬の皮膚病として非常に 多いのが ・膿皮症や脂漏症 ・アトピー性皮膚炎 などです。 犬の膿皮症は人や他の犬にもうつる可能性はある?原因は? 一ヶ所でかさぶたが治らない、
犬 背中 かさぶた 白いのギャラリー
各画像をクリックすると、ダウンロードまたは拡大表示できます
![]() Asmpet 犬 服 秋冬 背中開き ペット服 犬服 防水 防風 お散歩 犬 ジャケット ハーネス付き 中型犬 犬 コート フリース 暖かい レイングッズ Www Mantraman Com Mx | Asmpet 犬 服 秋冬 背中開き ペット服 犬服 防水 防風 お散歩 犬 ジャケット ハーネス付き 中型犬 犬 コート フリース 暖かい レイングッズ Www Mantraman Com Mx | ![]() Asmpet 犬 服 秋冬 背中開き ペット服 犬服 防水 防風 お散歩 犬 ジャケット ハーネス付き 中型犬 犬 コート フリース 暖かい レイングッズ Www Mantraman Com Mx |
![]() Asmpet 犬 服 秋冬 背中開き ペット服 犬服 防水 防風 お散歩 犬 ジャケット ハーネス付き 中型犬 犬 コート フリース 暖かい レイングッズ Www Mantraman Com Mx | ![]() Asmpet 犬 服 秋冬 背中開き ペット服 犬服 防水 防風 お散歩 犬 ジャケット ハーネス付き 中型犬 犬 コート フリース 暖かい レイングッズ Www Mantraman Com Mx | Asmpet 犬 服 秋冬 背中開き ペット服 犬服 防水 防風 お散歩 犬 ジャケット ハーネス付き 中型犬 犬 コート フリース 暖かい レイングッズ Www Mantraman Com Mx |
![]() Asmpet 犬 服 秋冬 背中開き ペット服 犬服 防水 防風 お散歩 犬 ジャケット ハーネス付き 中型犬 犬 コート フリース 暖かい レイングッズ Www Mantraman Com Mx | ![]() Asmpet 犬 服 秋冬 背中開き ペット服 犬服 防水 防風 お散歩 犬 ジャケット ハーネス付き 中型犬 犬 コート フリース 暖かい レイングッズ Www Mantraman Com Mx | ![]() Asmpet 犬 服 秋冬 背中開き ペット服 犬服 防水 防風 お散歩 犬 ジャケット ハーネス付き 中型犬 犬 コート フリース 暖かい レイングッズ Www Mantraman Com Mx |
「犬 背中 かさぶた 白い」の画像ギャラリー、詳細は各画像をクリックしてください。
Asmpet 犬 服 秋冬 背中開き ペット服 犬服 防水 防風 お散歩 犬 ジャケット ハーネス付き 中型犬 犬 コート フリース 暖かい レイングッズ Www Mantraman Com Mx | ![]() Asmpet 犬 服 秋冬 背中開き ペット服 犬服 防水 防風 お散歩 犬 ジャケット ハーネス付き 中型犬 犬 コート フリース 暖かい レイングッズ Www Mantraman Com Mx | ![]() Asmpet 犬 服 秋冬 背中開き ペット服 犬服 防水 防風 お散歩 犬 ジャケット ハーネス付き 中型犬 犬 コート フリース 暖かい レイングッズ Www Mantraman Com Mx |
![]() Asmpet 犬 服 秋冬 背中開き ペット服 犬服 防水 防風 お散歩 犬 ジャケット ハーネス付き 中型犬 犬 コート フリース 暖かい レイングッズ Www Mantraman Com Mx | ![]() Asmpet 犬 服 秋冬 背中開き ペット服 犬服 防水 防風 お散歩 犬 ジャケット ハーネス付き 中型犬 犬 コート フリース 暖かい レイングッズ Www Mantraman Com Mx | ![]() Asmpet 犬 服 秋冬 背中開き ペット服 犬服 防水 防風 お散歩 犬 ジャケット ハーネス付き 中型犬 犬 コート フリース 暖かい レイングッズ Www Mantraman Com Mx |
Asmpet 犬 服 秋冬 背中開き ペット服 犬服 防水 防風 お散歩 犬 ジャケット ハーネス付き 中型犬 犬 コート フリース 暖かい レイングッズ Www Mantraman Com Mx | ![]() Asmpet 犬 服 秋冬 背中開き ペット服 犬服 防水 防風 お散歩 犬 ジャケット ハーネス付き 中型犬 犬 コート フリース 暖かい レイングッズ Www Mantraman Com Mx | Asmpet 犬 服 秋冬 背中開き ペット服 犬服 防水 防風 お散歩 犬 ジャケット ハーネス付き 中型犬 犬 コート フリース 暖かい レイングッズ Www Mantraman Com Mx |
「犬 背中 かさぶた 白い」の画像ギャラリー、詳細は各画像をクリックしてください。
Asmpet 犬 服 秋冬 背中開き ペット服 犬服 防水 防風 お散歩 犬 ジャケット ハーネス付き 中型犬 犬 コート フリース 暖かい レイングッズ Www Mantraman Com Mx | Asmpet 犬 服 秋冬 背中開き ペット服 犬服 防水 防風 お散歩 犬 ジャケット ハーネス付き 中型犬 犬 コート フリース 暖かい レイングッズ Www Mantraman Com Mx | Asmpet 犬 服 秋冬 背中開き ペット服 犬服 防水 防風 お散歩 犬 ジャケット ハーネス付き 中型犬 犬 コート フリース 暖かい レイングッズ Www Mantraman Com Mx |
![]() Asmpet 犬 服 秋冬 背中開き ペット服 犬服 防水 防風 お散歩 犬 ジャケット ハーネス付き 中型犬 犬 コート フリース 暖かい レイングッズ Www Mantraman Com Mx | Asmpet 犬 服 秋冬 背中開き ペット服 犬服 防水 防風 お散歩 犬 ジャケット ハーネス付き 中型犬 犬 コート フリース 暖かい レイングッズ Www Mantraman Com Mx | ![]() Asmpet 犬 服 秋冬 背中開き ペット服 犬服 防水 防風 お散歩 犬 ジャケット ハーネス付き 中型犬 犬 コート フリース 暖かい レイングッズ Www Mantraman Com Mx |
![]() Asmpet 犬 服 秋冬 背中開き ペット服 犬服 防水 防風 お散歩 犬 ジャケット ハーネス付き 中型犬 犬 コート フリース 暖かい レイングッズ Www Mantraman Com Mx | ![]() Asmpet 犬 服 秋冬 背中開き ペット服 犬服 防水 防風 お散歩 犬 ジャケット ハーネス付き 中型犬 犬 コート フリース 暖かい レイングッズ Www Mantraman Com Mx | Asmpet 犬 服 秋冬 背中開き ペット服 犬服 防水 防風 お散歩 犬 ジャケット ハーネス付き 中型犬 犬 コート フリース 暖かい レイングッズ Www Mantraman Com Mx |
「犬 背中 かさぶた 白い」の画像ギャラリー、詳細は各画像をクリックしてください。
![]() Asmpet 犬 服 秋冬 背中開き ペット服 犬服 防水 防風 お散歩 犬 ジャケット ハーネス付き 中型犬 犬 コート フリース 暖かい レイングッズ Www Mantraman Com Mx | Asmpet 犬 服 秋冬 背中開き ペット服 犬服 防水 防風 お散歩 犬 ジャケット ハーネス付き 中型犬 犬 コート フリース 暖かい レイングッズ Www Mantraman Com Mx | ![]() Asmpet 犬 服 秋冬 背中開き ペット服 犬服 防水 防風 お散歩 犬 ジャケット ハーネス付き 中型犬 犬 コート フリース 暖かい レイングッズ Www Mantraman Com Mx |
![]() Asmpet 犬 服 秋冬 背中開き ペット服 犬服 防水 防風 お散歩 犬 ジャケット ハーネス付き 中型犬 犬 コート フリース 暖かい レイングッズ Www Mantraman Com Mx | Asmpet 犬 服 秋冬 背中開き ペット服 犬服 防水 防風 お散歩 犬 ジャケット ハーネス付き 中型犬 犬 コート フリース 暖かい レイングッズ Www Mantraman Com Mx | Asmpet 犬 服 秋冬 背中開き ペット服 犬服 防水 防風 お散歩 犬 ジャケット ハーネス付き 中型犬 犬 コート フリース 暖かい レイングッズ Www Mantraman Com Mx |
![]() Asmpet 犬 服 秋冬 背中開き ペット服 犬服 防水 防風 お散歩 犬 ジャケット ハーネス付き 中型犬 犬 コート フリース 暖かい レイングッズ Www Mantraman Com Mx | ![]() Asmpet 犬 服 秋冬 背中開き ペット服 犬服 防水 防風 お散歩 犬 ジャケット ハーネス付き 中型犬 犬 コート フリース 暖かい レイングッズ Www Mantraman Com Mx | ![]() Asmpet 犬 服 秋冬 背中開き ペット服 犬服 防水 防風 お散歩 犬 ジャケット ハーネス付き 中型犬 犬 コート フリース 暖かい レイングッズ Www Mantraman Com Mx |
「犬 背中 かさぶた 白い」の画像ギャラリー、詳細は各画像をクリックしてください。
![]() Asmpet 犬 服 秋冬 背中開き ペット服 犬服 防水 防風 お散歩 犬 ジャケット ハーネス付き 中型犬 犬 コート フリース 暖かい レイングッズ Www Mantraman Com Mx | ![]() Asmpet 犬 服 秋冬 背中開き ペット服 犬服 防水 防風 お散歩 犬 ジャケット ハーネス付き 中型犬 犬 コート フリース 暖かい レイングッズ Www Mantraman Com Mx | ![]() Asmpet 犬 服 秋冬 背中開き ペット服 犬服 防水 防風 お散歩 犬 ジャケット ハーネス付き 中型犬 犬 コート フリース 暖かい レイングッズ Www Mantraman Com Mx |
![]() Asmpet 犬 服 秋冬 背中開き ペット服 犬服 防水 防風 お散歩 犬 ジャケット ハーネス付き 中型犬 犬 コート フリース 暖かい レイングッズ Www Mantraman Com Mx | Asmpet 犬 服 秋冬 背中開き ペット服 犬服 防水 防風 お散歩 犬 ジャケット ハーネス付き 中型犬 犬 コート フリース 暖かい レイングッズ Www Mantraman Com Mx | Asmpet 犬 服 秋冬 背中開き ペット服 犬服 防水 防風 お散歩 犬 ジャケット ハーネス付き 中型犬 犬 コート フリース 暖かい レイングッズ Www Mantraman Com Mx |
![]() Asmpet 犬 服 秋冬 背中開き ペット服 犬服 防水 防風 お散歩 犬 ジャケット ハーネス付き 中型犬 犬 コート フリース 暖かい レイングッズ Www Mantraman Com Mx | ![]() Asmpet 犬 服 秋冬 背中開き ペット服 犬服 防水 防風 お散歩 犬 ジャケット ハーネス付き 中型犬 犬 コート フリース 暖かい レイングッズ Www Mantraman Com Mx | ![]() Asmpet 犬 服 秋冬 背中開き ペット服 犬服 防水 防風 お散歩 犬 ジャケット ハーネス付き 中型犬 犬 コート フリース 暖かい レイングッズ Www Mantraman Com Mx |
「犬 背中 かさぶた 白い」の画像ギャラリー、詳細は各画像をクリックしてください。
![]() Asmpet 犬 服 秋冬 背中開き ペット服 犬服 防水 防風 お散歩 犬 ジャケット ハーネス付き 中型犬 犬 コート フリース 暖かい レイングッズ Www Mantraman Com Mx | Asmpet 犬 服 秋冬 背中開き ペット服 犬服 防水 防風 お散歩 犬 ジャケット ハーネス付き 中型犬 犬 コート フリース 暖かい レイングッズ Www Mantraman Com Mx | Asmpet 犬 服 秋冬 背中開き ペット服 犬服 防水 防風 お散歩 犬 ジャケット ハーネス付き 中型犬 犬 コート フリース 暖かい レイングッズ Www Mantraman Com Mx |
Asmpet 犬 服 秋冬 背中開き ペット服 犬服 防水 防風 お散歩 犬 ジャケット ハーネス付き 中型犬 犬 コート フリース 暖かい レイングッズ Www Mantraman Com Mx | Asmpet 犬 服 秋冬 背中開き ペット服 犬服 防水 防風 お散歩 犬 ジャケット ハーネス付き 中型犬 犬 コート フリース 暖かい レイングッズ Www Mantraman Com Mx | Asmpet 犬 服 秋冬 背中開き ペット服 犬服 防水 防風 お散歩 犬 ジャケット ハーネス付き 中型犬 犬 コート フリース 暖かい レイングッズ Www Mantraman Com Mx |
![]() Asmpet 犬 服 秋冬 背中開き ペット服 犬服 防水 防風 お散歩 犬 ジャケット ハーネス付き 中型犬 犬 コート フリース 暖かい レイングッズ Www Mantraman Com Mx | Asmpet 犬 服 秋冬 背中開き ペット服 犬服 防水 防風 お散歩 犬 ジャケット ハーネス付き 中型犬 犬 コート フリース 暖かい レイングッズ Www Mantraman Com Mx | ![]() Asmpet 犬 服 秋冬 背中開き ペット服 犬服 防水 防風 お散歩 犬 ジャケット ハーネス付き 中型犬 犬 コート フリース 暖かい レイングッズ Www Mantraman Com Mx |
「犬 背中 かさぶた 白い」の画像ギャラリー、詳細は各画像をクリックしてください。
![]() Asmpet 犬 服 秋冬 背中開き ペット服 犬服 防水 防風 お散歩 犬 ジャケット ハーネス付き 中型犬 犬 コート フリース 暖かい レイングッズ Www Mantraman Com Mx | Asmpet 犬 服 秋冬 背中開き ペット服 犬服 防水 防風 お散歩 犬 ジャケット ハーネス付き 中型犬 犬 コート フリース 暖かい レイングッズ Www Mantraman Com Mx | Asmpet 犬 服 秋冬 背中開き ペット服 犬服 防水 防風 お散歩 犬 ジャケット ハーネス付き 中型犬 犬 コート フリース 暖かい レイングッズ Www Mantraman Com Mx |
![]() Asmpet 犬 服 秋冬 背中開き ペット服 犬服 防水 防風 お散歩 犬 ジャケット ハーネス付き 中型犬 犬 コート フリース 暖かい レイングッズ Www Mantraman Com Mx | Asmpet 犬 服 秋冬 背中開き ペット服 犬服 防水 防風 お散歩 犬 ジャケット ハーネス付き 中型犬 犬 コート フリース 暖かい レイングッズ Www Mantraman Com Mx | ![]() Asmpet 犬 服 秋冬 背中開き ペット服 犬服 防水 防風 お散歩 犬 ジャケット ハーネス付き 中型犬 犬 コート フリース 暖かい レイングッズ Www Mantraman Com Mx |
Asmpet 犬 服 秋冬 背中開き ペット服 犬服 防水 防風 お散歩 犬 ジャケット ハーネス付き 中型犬 犬 コート フリース 暖かい レイングッズ Www Mantraman Com Mx | ![]() Asmpet 犬 服 秋冬 背中開き ペット服 犬服 防水 防風 お散歩 犬 ジャケット ハーネス付き 中型犬 犬 コート フリース 暖かい レイングッズ Www Mantraman Com Mx | ![]() Asmpet 犬 服 秋冬 背中開き ペット服 犬服 防水 防風 お散歩 犬 ジャケット ハーネス付き 中型犬 犬 コート フリース 暖かい レイングッズ Www Mantraman Com Mx |
「犬 背中 かさぶた 白い」の画像ギャラリー、詳細は各画像をクリックしてください。
Asmpet 犬 服 秋冬 背中開き ペット服 犬服 防水 防風 お散歩 犬 ジャケット ハーネス付き 中型犬 犬 コート フリース 暖かい レイングッズ Www Mantraman Com Mx | Asmpet 犬 服 秋冬 背中開き ペット服 犬服 防水 防風 お散歩 犬 ジャケット ハーネス付き 中型犬 犬 コート フリース 暖かい レイングッズ Www Mantraman Com Mx | ![]() Asmpet 犬 服 秋冬 背中開き ペット服 犬服 防水 防風 お散歩 犬 ジャケット ハーネス付き 中型犬 犬 コート フリース 暖かい レイングッズ Www Mantraman Com Mx |
![]() Asmpet 犬 服 秋冬 背中開き ペット服 犬服 防水 防風 お散歩 犬 ジャケット ハーネス付き 中型犬 犬 コート フリース 暖かい レイングッズ Www Mantraman Com Mx | ![]() Asmpet 犬 服 秋冬 背中開き ペット服 犬服 防水 防風 お散歩 犬 ジャケット ハーネス付き 中型犬 犬 コート フリース 暖かい レイングッズ Www Mantraman Com Mx | Asmpet 犬 服 秋冬 背中開き ペット服 犬服 防水 防風 お散歩 犬 ジャケット ハーネス付き 中型犬 犬 コート フリース 暖かい レイングッズ Www Mantraman Com Mx |
![]() Asmpet 犬 服 秋冬 背中開き ペット服 犬服 防水 防風 お散歩 犬 ジャケット ハーネス付き 中型犬 犬 コート フリース 暖かい レイングッズ Www Mantraman Com Mx | ![]() Asmpet 犬 服 秋冬 背中開き ペット服 犬服 防水 防風 お散歩 犬 ジャケット ハーネス付き 中型犬 犬 コート フリース 暖かい レイングッズ Www Mantraman Com Mx | ![]() Asmpet 犬 服 秋冬 背中開き ペット服 犬服 防水 防風 お散歩 犬 ジャケット ハーネス付き 中型犬 犬 コート フリース 暖かい レイングッズ Www Mantraman Com Mx |
「犬 背中 かさぶた 白い」の画像ギャラリー、詳細は各画像をクリックしてください。
![]() Asmpet 犬 服 秋冬 背中開き ペット服 犬服 防水 防風 お散歩 犬 ジャケット ハーネス付き 中型犬 犬 コート フリース 暖かい レイングッズ Www Mantraman Com Mx | ![]() Asmpet 犬 服 秋冬 背中開き ペット服 犬服 防水 防風 お散歩 犬 ジャケット ハーネス付き 中型犬 犬 コート フリース 暖かい レイングッズ Www Mantraman Com Mx | ![]() Asmpet 犬 服 秋冬 背中開き ペット服 犬服 防水 防風 お散歩 犬 ジャケット ハーネス付き 中型犬 犬 コート フリース 暖かい レイングッズ Www Mantraman Com Mx |
Asmpet 犬 服 秋冬 背中開き ペット服 犬服 防水 防風 お散歩 犬 ジャケット ハーネス付き 中型犬 犬 コート フリース 暖かい レイングッズ Www Mantraman Com Mx | Asmpet 犬 服 秋冬 背中開き ペット服 犬服 防水 防風 お散歩 犬 ジャケット ハーネス付き 中型犬 犬 コート フリース 暖かい レイングッズ Www Mantraman Com Mx | Asmpet 犬 服 秋冬 背中開き ペット服 犬服 防水 防風 お散歩 犬 ジャケット ハーネス付き 中型犬 犬 コート フリース 暖かい レイングッズ Www Mantraman Com Mx |
Asmpet 犬 服 秋冬 背中開き ペット服 犬服 防水 防風 お散歩 犬 ジャケット ハーネス付き 中型犬 犬 コート フリース 暖かい レイングッズ Www Mantraman Com Mx | ![]() Asmpet 犬 服 秋冬 背中開き ペット服 犬服 防水 防風 お散歩 犬 ジャケット ハーネス付き 中型犬 犬 コート フリース 暖かい レイングッズ Www Mantraman Com Mx | ![]() Asmpet 犬 服 秋冬 背中開き ペット服 犬服 防水 防風 お散歩 犬 ジャケット ハーネス付き 中型犬 犬 コート フリース 暖かい レイングッズ Www Mantraman Com Mx |
「犬 背中 かさぶた 白い」の画像ギャラリー、詳細は各画像をクリックしてください。
![]() Asmpet 犬 服 秋冬 背中開き ペット服 犬服 防水 防風 お散歩 犬 ジャケット ハーネス付き 中型犬 犬 コート フリース 暖かい レイングッズ Www Mantraman Com Mx | Asmpet 犬 服 秋冬 背中開き ペット服 犬服 防水 防風 お散歩 犬 ジャケット ハーネス付き 中型犬 犬 コート フリース 暖かい レイングッズ Www Mantraman Com Mx | Asmpet 犬 服 秋冬 背中開き ペット服 犬服 防水 防風 お散歩 犬 ジャケット ハーネス付き 中型犬 犬 コート フリース 暖かい レイングッズ Www Mantraman Com Mx |
![]() Asmpet 犬 服 秋冬 背中開き ペット服 犬服 防水 防風 お散歩 犬 ジャケット ハーネス付き 中型犬 犬 コート フリース 暖かい レイングッズ Www Mantraman Com Mx | ![]() Asmpet 犬 服 秋冬 背中開き ペット服 犬服 防水 防風 お散歩 犬 ジャケット ハーネス付き 中型犬 犬 コート フリース 暖かい レイングッズ Www Mantraman Com Mx | ![]() Asmpet 犬 服 秋冬 背中開き ペット服 犬服 防水 防風 お散歩 犬 ジャケット ハーネス付き 中型犬 犬 コート フリース 暖かい レイングッズ Www Mantraman Com Mx |
Asmpet 犬 服 秋冬 背中開き ペット服 犬服 防水 防風 お散歩 犬 ジャケット ハーネス付き 中型犬 犬 コート フリース 暖かい レイングッズ Www Mantraman Com Mx | Asmpet 犬 服 秋冬 背中開き ペット服 犬服 防水 防風 お散歩 犬 ジャケット ハーネス付き 中型犬 犬 コート フリース 暖かい レイングッズ Www Mantraman Com Mx | ![]() Asmpet 犬 服 秋冬 背中開き ペット服 犬服 防水 防風 お散歩 犬 ジャケット ハーネス付き 中型犬 犬 コート フリース 暖かい レイングッズ Www Mantraman Com Mx |
「犬 背中 かさぶた 白い」の画像ギャラリー、詳細は各画像をクリックしてください。
Asmpet 犬 服 秋冬 背中開き ペット服 犬服 防水 防風 お散歩 犬 ジャケット ハーネス付き 中型犬 犬 コート フリース 暖かい レイングッズ Www Mantraman Com Mx | ![]() Asmpet 犬 服 秋冬 背中開き ペット服 犬服 防水 防風 お散歩 犬 ジャケット ハーネス付き 中型犬 犬 コート フリース 暖かい レイングッズ Www Mantraman Com Mx | ![]() Asmpet 犬 服 秋冬 背中開き ペット服 犬服 防水 防風 お散歩 犬 ジャケット ハーネス付き 中型犬 犬 コート フリース 暖かい レイングッズ Www Mantraman Com Mx |
Asmpet 犬 服 秋冬 背中開き ペット服 犬服 防水 防風 お散歩 犬 ジャケット ハーネス付き 中型犬 犬 コート フリース 暖かい レイングッズ Www Mantraman Com Mx | Asmpet 犬 服 秋冬 背中開き ペット服 犬服 防水 防風 お散歩 犬 ジャケット ハーネス付き 中型犬 犬 コート フリース 暖かい レイングッズ Www Mantraman Com Mx | ![]() Asmpet 犬 服 秋冬 背中開き ペット服 犬服 防水 防風 お散歩 犬 ジャケット ハーネス付き 中型犬 犬 コート フリース 暖かい レイングッズ Www Mantraman Com Mx |
![]() Asmpet 犬 服 秋冬 背中開き ペット服 犬服 防水 防風 お散歩 犬 ジャケット ハーネス付き 中型犬 犬 コート フリース 暖かい レイングッズ Www Mantraman Com Mx | ![]() Asmpet 犬 服 秋冬 背中開き ペット服 犬服 防水 防風 お散歩 犬 ジャケット ハーネス付き 中型犬 犬 コート フリース 暖かい レイングッズ Www Mantraman Com Mx | ![]() Asmpet 犬 服 秋冬 背中開き ペット服 犬服 防水 防風 お散歩 犬 ジャケット ハーネス付き 中型犬 犬 コート フリース 暖かい レイングッズ Www Mantraman Com Mx |
「犬 背中 かさぶた 白い」の画像ギャラリー、詳細は各画像をクリックしてください。
![]() Asmpet 犬 服 秋冬 背中開き ペット服 犬服 防水 防風 お散歩 犬 ジャケット ハーネス付き 中型犬 犬 コート フリース 暖かい レイングッズ Www Mantraman Com Mx | Asmpet 犬 服 秋冬 背中開き ペット服 犬服 防水 防風 お散歩 犬 ジャケット ハーネス付き 中型犬 犬 コート フリース 暖かい レイングッズ Www Mantraman Com Mx | ![]() Asmpet 犬 服 秋冬 背中開き ペット服 犬服 防水 防風 お散歩 犬 ジャケット ハーネス付き 中型犬 犬 コート フリース 暖かい レイングッズ Www Mantraman Com Mx |
![]() Asmpet 犬 服 秋冬 背中開き ペット服 犬服 防水 防風 お散歩 犬 ジャケット ハーネス付き 中型犬 犬 コート フリース 暖かい レイングッズ Www Mantraman Com Mx | ![]() Asmpet 犬 服 秋冬 背中開き ペット服 犬服 防水 防風 お散歩 犬 ジャケット ハーネス付き 中型犬 犬 コート フリース 暖かい レイングッズ Www Mantraman Com Mx |
突如発症した皮膚病 ~侮れない、恐ろしい病気~ 犬に多い皮膚病のひとつ。 病名を検索してみると、 『それ自体が、犬を死に至らせるものではない』 ――とされているのだが、とても軽視できるものではない。 重度に発展すると、とんでもないことに。 犬の皮膚糸状菌症(ひふしじょうきんしょう)とは、真菌が原因で起きる皮膚病です。 円形に毛が抜け、掻いてかさぶたができます。 人畜共通感染症のひとつです。 獣医師監修犬が脱毛している。 この症状から考えられる原因や病気は? 犬にとっ
Incoming Term: 犬 背中 かさぶた 白い,

































































コメント
コメントを投稿